【和泉市】TSUTAYA観音寺店周辺で続く大規模工事。掲示図面で見えてきた“複合施設計画”
TSUTAYA 和泉観音寺店の周辺で、以前から大規模な工事が続いていて、気になっている方も多いのではないでしょうか。

以前から大きな看板で、大和ハウス工業株式会社による「(仮称)和泉市観音寺町複合施設新築工事」と掲示されていたため、何かの複合施設ができるらしい、ということはご存じの方もいらっしゃったかと思います。

2025年春頃には駐車場が大幅に制限され、工事が行われていたためここから工事が本格化するのかと感じられました。

しかし、路面もきれいに補装された後は工事区画が駐車場横に戻り、今も工事が進められているようです。

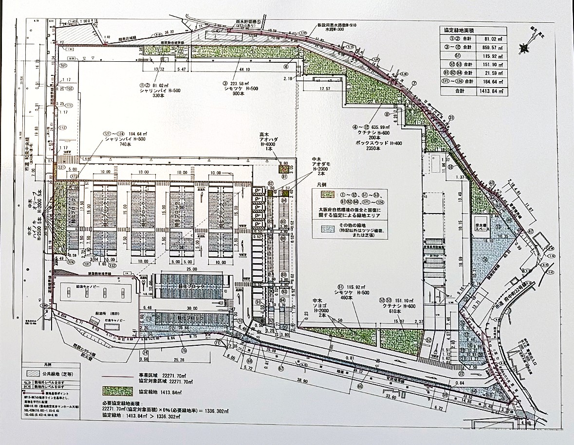
そんな中、現地の掲示板にこれまでよりも分かりやすい図面が張り出されていることに気づきました。以前の掲示では、和泉中央線から奥に向かって広がる計画に見える程度でしたが、輪郭が少し具体的になってきた印象です。

以前から掲示されている図面
以前から掲示されている「開発許可標識」では、開発区域が観音寺町・寺門町にまたがる範囲として示され、予定建築物の用途には「物販店舗、飲食店 及び 既設給油所」と記載があり、商業施設に加え、給油所に関する項目が含まれていました。

今回掲示されていた配置図を見ると、敷地の大部分が駐車場として計画されているように見え、さらに図面の左下付近には「給油キャノピー」「洗車キャノピー」といった記載があり、給油設備に関する計画が読み取れます。

そして気になるのが、現在ガソリンスタンドのすぐ奥にある「パン工房 Kawa 和泉店」や、「TSUTAYA 和泉観音寺店」のエリアです。

図面上では、この周辺も駐車場として描かれているようで、もし計画が進んでいくと景色が大きく変わる可能性もありそうです。

ただし、図面から分かるのは敷地利用の計画までで、既存店舗がどうなるのかは断定することはできません。現地の貼り紙や各店舗の公式案内など、確定情報が出てくるのかも含め、今後の動きが注目されます。
工事中の現場はこのあたり↓






